【西番蓮科】
三角葉西番蓮
毛西番蓮
百香果
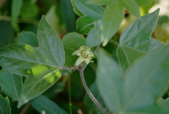
☉三角葉西番蓮
科 名:
西番蓮科 (Passifloraceae)
學 名:
Passiflora suberosa
L.
英 名:
Grandular petioluled passiflora
俗 名:
三角西番果、栓皮西番蓮、姬番果
特 徵:
蔓性多年生草本,莖葉多少有毛;莖藉腋生之卷鬚纏繞他物而蔓延。葉互生,具三主脈,中央裂片較大,兩側者較小,卵狀三角形,邊緣具微毛。花乳黃帶黑色。果為黑色扁球形。